THE SCHWERT FAMILY:

Family and Descendants of
John ("Jack") Joseph Schleer (Schlier) (Schlee)
(1885 - 1976)

Spouse: Alice Elizabeth O'Malley
(1886 - 1937)

Spouse: Josephine G. (née Bielak) Kasprzak
(1896 - 1986)



John Joseph Schleer and Alice (O'Malley) Schleer, no date.
(Click for enlargement, 22K)
John Joseph Schlee was born in Buffalo, New York on September 8, 1885. He was baptized as "Johan Martin Schlier" on September 13, 1885, by Fr. Ferdinand Kolb of St. Boniface R.C. Church.

In the 1900 Census, his parents listed John as having been born in "Sept., 1884," which is an error.

According to the 1928 Buffalo City Directory, John was employed as a railroad policeman for the Erie Railroad and resided in Kenmore, NY.

John married Alice Elizabeth O'Malley, born on April 22, 1886. One family story has it that Alice had the surname changed to "Schleer" because she "did not like the Germans." However, John's baptismal name is entered as "Schlier," one of many spelling variants of the "Schlia" surname.

Alice died on December 12, 1937. The funeral home prepared her body, and Alice was laid at home at 277 Tremaine Avenue in Kenmore, NY. There was a bad snow storm and frozen ground, however, she could be buried until spring. Alice is interred beside her son Russell in Lot 680, Section B of Mount Olivet Cemetery, Kenmore, New York.

John later married Josephine G. (née Bielak) Kasprzak. Josephine was the mother of Dorothy (née Kasprsak) Czajka, Elsie (née Kasprzak) (Pasquale) Buttino, Edward Kasprzak, and Henry Kazprzak. Josephine's Social Security Records indicate that she was born on December 26, 1896. John and Josephine resided at Josephine's house at 14 C. Street in Buffalo, NY.

John died on November 4, 1976. Josephine died on April 22, 1986. Both John and Josephine are interred in Lot 221, Section H, Mount Calvary Cemetery (Pine Hill), Cheektowaga, NY.

Much of this text was contributed by Rita (née Schleer) Penberthy, daughter of John and Alice (née O'Malley) Schleer. We also thank John T. Penberthy and Mike Buttino for their contributions of photographs and other information on the Schlia/Schlee/Schleer families.

John Joseph Schleer, standing with his stepdaughter Dorothy Kasprsak and stepson Henry ("Hank") Kasprsak. In the front are Joan and Nancy (surnames unknown). September 1, 1940, Buffalo, NY.

Photo provided by Michael P. Buttino, the brother of Paul and the son of Elsie (née Kasprzak) (Pasquale) Buttino. (Click for enlargement, 55KB)

Short video taken at the Schleer residence at 14 C Street, Buffalo, NY, on Easter, 1954. John Joseph Schleer is shown handing out Easter baskets to Paul L. Buttino, then to Michael P. Buttino, then to Geraldine ( Geri ) Czajka, and then to Shirley Czajka. Josephine (née Bielak) ( Kasprzak) Schleer then appears (blue scarf), followed by her daughter Dorothy (née Kasprsak) Czajka (the mother of Geri and Shirley) (tan coat) along with John Schleer.

Video provided by Michael P. Buttino, the brother of Paul and the son of Elsie (née Kasprzak) (Pasquale) Buttino. (Click to play, 4.39 MB).


Parents of John Joseph Schleer:


Descendants of John Joseph and Alice Elizabeth (née O'Malley) Schleer:

  • Alice C. (née Schleer) Bradley: Born 1906; died 1976.

  • Irene (née Schleer) Wylie: Born 1908; died 1979.

  • Russell L. Schleer: Born 1910; died 1971.

  • John Joseph Schleer: Born 1915; died 1995.

  • Rita Kathleen (née Schleer) Penberthy: Born 1921; died 2007.

  • Norma Jane (née Schleer) Miller: Born 1923; died 1992.

  • Dorothy E. (née Schleer) Campbell: Born 1926; .


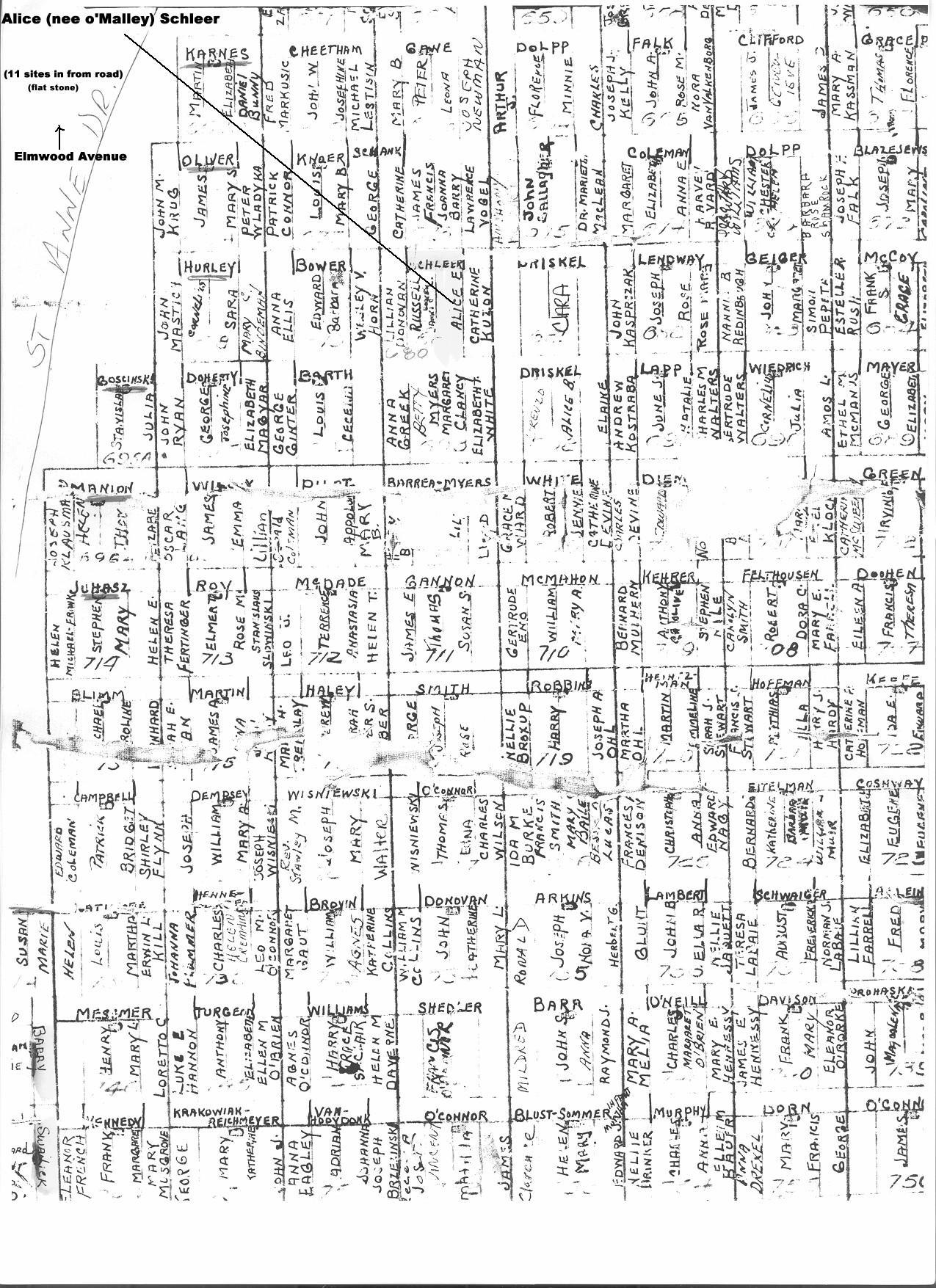
General location of the grave of Alice (née O'Malley) Schleer, Lot 680, Section B, Mount Olivet Cemetery, Kenmore, NY. A map to the gravesite is available here. The exact location of Alice's cemetery plot is shown here.

(Photo by Bernard Patz, 2002. Click on photo for enlargement, 107K)

Grave of Alice (née O'Malley) Schleer, Lot 680, Section B, Mount Olivet Cemetery, Kenmore, NY.

(Photo by Bernard Patz, 2002. Click on photo for enlargement, 101K)

General location of the grave of John Joseph and Josephine (née Bielak) (Kasprzak) Schleer, Lot 221, Section H, Mount Calvary Cemetery (Pine Hill), Cheektowaga, NY. A map to the gravesite is available here.

(Photo by Bernard Patz, 2002. Click on photo for enlargement, 53K)

Grave of John Joseph Schleer, Lot 221, Section H, Mount Calvary Cemetery (Pine Hill), Cheektowaga, NY.

(Photo by Bernard Patz, 2002. Click on photo for enlargement, 32K)

Grave of Josephine (née Bielak) (Kasprzak) Schleer, Lot 221, Section H, Mount Calvary Cemetery (Pine Hill), Cheektowaga, NY.

(Photo by Michael P. Buttino. Click on photo for enlargement)


Documents and Other Artifacts:

  • Baptismal Record: Baptismal record of Johan Martin Schlier, son of August and Francisca (née Schwertfeger) Schlier (= "Schlia" or "Schlee"). Born on September 8, 1885 and baptized on September 13, 1885 by Fr. Ferdinand Kolb of Saint Boniface R.C. Church, 124 Locust Street, Buffalo, NY. Witnesses are Johann (= "John") and Augusta (née Lorenz) Schwertfeger.

  • 1900 Census Record: 1900 census record. August and Frances (née Schwert) "Schlie," 255 Locust Street, Buffalo, NY, showing birth of John in "Sept., 1884."

  • 1900 Census Record: 1900 census record. John and (???) O'Malley, 16 Essex Street, Buffalo, NY. Parents of Alice and eight other children.

  • 1910 Census Record: 1910 U.S. Census record for Alice (née O'Malley) Schleer, residing with her brothers and sisters at 275 Dewitt Street, Buffalo, NY.

  • 1920 Census Record: 1920 U.S. Census record for John and Alice (née O'Malley) Schleer and children, residing at 571 Grant Street, Buffalo, NY.

  • Obituary: Alice (née O'Malley) Schleer, died December 12, 1937.

  • Cemetery Plot Location: Alice (née O'Malley) Schleer, Lot 680, Section B, Mount Olivet Cemetery, Kenmore, NY.

  • Obituary: John Joseph Schleer, died November 4, 1976.

  • Interment Record: John Joseph Schleer; died November 4, 1976; interred in Lot 221, Section H, Mount Calvary Cemetery (Pine Hill), Cheektowaga, NY.

  • Social Security Death Index: John Schleer, born September 8, 1885; died November, 1976.

  • Obituary: Josephine (née Bielak) (Kasprzak) Schleer, died April 22, 1986.

  • Social Security Death Index: Josephine (née Bielak) (Kasprzak) Schleer, born December 26, 1886; died April 22, 1986.

  • Interment Record: Josephine G. (née Bielak) (Kasprzak) Schleer; died April 22, 1986; interred in Lot 221, Section H, Mount Calvary Cemetery (Pine Hill), Cheektowaga, NY.


Schwertfamily.net is maintained by Donald P. Schwert, great great grandson of Carl and Veronica (née Modrzejewska) Schwertfeger (Schwert). We seek your assistance in helping us to develop this family history. Correspondence can be mailed to: Donald P. Schwert, 300 Broadway N #204, Fargo, ND, 58102-4720 U.S.A.


[ Home ] [ Names ] [ Buildings ] [ Maps ] [ Links ] [ Contacts ]